Every company has contingency plans for when things don’t go as expected. Whether it’s a backup supplier in the case of a material shortage; or a different carrier for when capacity gets tight. However, when the weather picks up, is your supply chain ready to weather the storm?
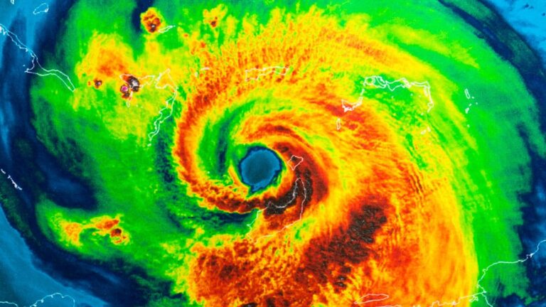
Major weather events pose a significant disruption for supply chains, and hurricanes are no exception.
Major weather events pose a significant disruption for supply chains, and hurricanes are no exception. High winds and torrential rains can make travel all but impossible. Flash flooding and road damage can make typical routes impassible. After the more severe storms, much of the carrier capacity is consumed by rebuilding and relief efforts. All in all, if you don’t have a solid plan, you could find your supply chain washed out.
To that end, we want to make sure that your supply chain is prepared. We believe that there is no such thing as being over-prepared, especially when it comes to hurricane season. We’ve created our 2020 Hurricane Preparedness Guide to help you make sure your supply chain is protected. But first, take a look at what’s expected this hurricane season.
2020 is set to be a Record-Breaking Year for Hurricanes
With the way the year has gone so far, is it really any surprise that 2020 is already breaking records for hurricanes? So far, the Atlantic Hurricane season is already in full swing, well ahead of the peak month which is typically September. Hurricane Isaias which caused significant damage on the east coast was the earliest ninth named storm on record. Now, the National Oceanic and Atmospheric Administration (NOAA) is predicting that even more records might be broken in the upcoming months with at least 10 more named storms.
The updated outlook released Thursday calls for a total of 19 to 25 named storms
“The updated outlook released Thursday calls for a total of 19 to 25 named storms (winds of 39 mph or greater), of which 7 to 11 are expected to become hurricanes (winds of 74 mph or greater), including three to six that could become major hurricanes (winds of 111 mph or greater). This update covers the entire hurricane season, which ends Nov. 30, and therefore includes the nine named storms to date,” reads a recent Washington Post article.
According to the National Weather Service Director, Louis Uccellini, 95 percent of hurricanes and major hurricanes, form between August and October. “In over two decades of issuing storm warnings and forecasts, NOAA has never predicted that as many as 25 named storms would form in a single season,” says the Post.
The Long List isn’t Quite Long Enough
Interestingly enough, the list of names that are assigned to storms is predetermined ahead of time by the World Meteorological Organization. As it stands, there are only 21 names left on the Atlantic list. Afterward, forecasters will have to resort to using characters from the Greek alphabet. This has happened only one other time, back in 2005, which was the most active hurricane season on record.
NOAA’s Initial Predictions Might have been Too Optimistic
The initial prediction from NOAA, which was released in May, called for a 60 percent likelihood for an above-average level of hurricane activity. The prediction called for a 70 percent chance for 13 to 19 named storms, with six to 10 having the potential to become hurricanes. Of the predicted hurricanes, three to six could become major hurricanes with a Category 3 rating or higher.
The updated forecast now places the chance for an above-average season at 85 percent, 24 named storms, which include 12 total hurricanes, five of which will be major.
The season has the potential to be one of the busiest on record, NOAA said.
Battening Down the Hatches
A busy hurricane season in of itself has the potential to be devastating to businesses along the coast. Supply chains can very easily become disrupted as carriers are pulled away to haul for humanitarian aid for the places most heavily affected. Couple in the fact that storms will continue to hit in quick succession, leaving little time for roadways and other necessary infrastructure to be repaired and you have the perfect recipe for disaster.
For companies that manage extensive supply chains along the Atlantic coast, now is the time to begin preparing for the rough season ahead. Fortunately, we here at BlueGrace have a lot of first-hand experiences with Hurricanes, being based out of Tampa Florida. Working with shippers and carriers alike, we have our 2020 Hurricane Preparedness Guide down to a science. Don’t get caught unprepared, download our white paper today!
